釣り船・渡船の最新釣果満載! | 釣り大好き!みんながドットこむ!!
釣り大好き!みんながドットこむ!!
釣果情報 爆釣侍 殿堂入り トピックス 出船状況 釣りランキング
 
 %95l%8Bg%8A%DB 2026/01/17

ご予約・お問合せ お電話:0738-64-2390    出船予定:未定
トピックス   



沖一文字 カゴ釣りでグレ! 
とみもっちゃんの釣果!
沖一文字 ふかせ釣りで良型グレ! 
長谷川様の釣果!

データ日付 2026年 01月 17日  PM 04:00   種別:渡船
状態
天候:晴れ 風向: 潮:特定できず 水温:15.3度 波高:

コメント
沖一文字カゴ釣り、ふかせ釣りでグレ釣れていました!

弁当は持参して下さい。
続きを読む

釣り場 釣り人 魚種 大きさ 匹数 仕掛け エサ
沖一文字   
とみもっちゃん
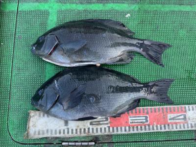
グレ 38cmまで3匹 カゴ釣り オキアミ
沖一文字   
長谷川様
グレ 39cm 2匹 ふかせ釣り オキアミ





過去の魚種別釣果 グレ
ファネット マダイダービー



  




最新釣果情報一覧へ戻る


Copyright (C) 2000  釣り大好き!みんながドットこむ!!