釣り船・渡船の最新釣果満載! | 釣り大好き!みんながドットこむ!!
釣り大好き!みんながドットこむ!!
釣果情報 爆釣侍 殿堂入り トピックス 出船状況 釣りランキング
 
 %95l%8Bg%8A%DB 2025/12/30

ご予約・お問合せ お電話:0738-64-2390    出船予定:未定
トピックス   



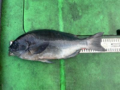
沖一文字 ふかせ釣りでグレ43cm! 
岸上様の釣果!

データ日付 2025年 12月 30日  PM 04:00   種別:渡船
状態
天候:曇り 風向:北西 潮:特定できず 水温:19.1度 波高:多少あり

コメント
年末は31日、年始2日からの営業です。
今日は朝は凪でしたが昼頃から北西風強くなってきました!
明日も北西風強い予報ですが沖一文字は出船します!…
続きを読む

釣り場 釣り人 魚種 大きさ 匹数 仕掛け エサ
沖一文字   
岸上様
グレ 43cm 1匹 ふかせ釣り オキアミ
沖一文字   
お客様ら
グレ 1匹ずつ カゴ&ふかせ
沖一文字   
お客様ら
メジロ 全体で3本 のませ&ルアー





過去の魚種別釣果 グレ] [メジロ
ファネット マダイダービー



  




最新釣果情報一覧へ戻る


Copyright (C) 2000  釣り大好き!みんながドットこむ!!