釣り船・渡船の最新釣果満載! | 釣り大好き!みんながドットこむ!!
釣り大好き!みんながドットこむ!!
釣果情報 爆釣侍 殿堂入り トピックス 出船状況 釣りランキング
 
 %95l%8Bg%8A%DB 2025/12/25

ご予約・お問合せ お電話:0738-64-2390    出船予定:未定
トピックス   



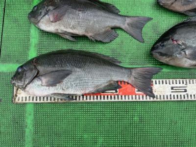
沖一文字 カゴ釣りでグレ44cmまで9匹! 
お客様ら3人の釣果!
44cmグレ! 

データ日付 2025年 12月 25日  PM 02:00   種別:渡船
状態
天候: 風向:北西 潮:特定できず 水温:17.1度 波高:高い

コメント
明日はまた大時化予報の為休船します。

本日朝の内は風もなく海上ベタ凪、昼頃から北西風強まってきました。…
続きを読む

釣り場 釣り人 魚種 大きさ 匹数 仕掛け エサ
沖一文字   
お客様ら3人
グレ 44cmまで9匹 カゴ釣り オキアミ
  
アオリイカ 1ハイ エギ





過去の魚種別釣果 グレ] [アオリイカ
ファネット マダイダービー



  




最新釣果情報一覧へ戻る


Copyright (C) 2000  釣り大好き!みんながドットこむ!!