![]() |
![]() |
![]() |
![]() |
![]() |
![]() |
||
| ご予約・お問合せ | お電話:090-9619-2883 出船予定:休船 |
| トピックス |
|
|
|
|
マダイ53cm 木本氏の釣果 |
マダイ53cm,チヌ42,47,48cm 木本氏の釣果 |
|
|
|
グレ44cm,イサギ30,31cm 福林氏の釣果 |
グレ32〜36cm 和田氏の釣果 |
|
|
|
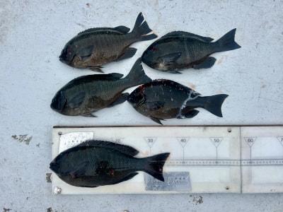
グレ30〜35cm 根来氏の釣果 |
|
| データ日付 | 2026年 04月 15日 PM 02:00 種別:渡船 | |||||
| 状態 |
|
| コメント |
| *フカセ釣りで「マダイ」「グレ」「イサギ」! *明日4/16(木)は休船。 |
| 釣り場 | 釣り人 | 魚種 | 大きさ | 匹数 | 仕掛け | エサ |
| ヒジキ | 大阪市 木本氏 |
マダイ | 53cm | 1匹 | フカセ釣り | オキアミ |
| 〃 | 〃 〃 |
チヌ | 42〜48cm | 3匹 | 〃 | 〃 |
| 〃 | 湯浅町 福林氏 |
グレ | 44cm | 1匹 | 〃 | 〃 |
| 〃 | 〃 〃 |
イサギ | 30〜31cm | 2匹 | 〃 | 〃 |
| 〃 | 摂津市 和田氏 |
グレ | 32〜36cm | 6匹 | 〃 | 〃 |
| 〃 | 和歌山 根来氏 |
グレ | 30〜35cm | 9匹 | 〃 | 〃 |
| 過去の魚種別釣果 |
[マダイ]
[チヌ]
[イサギ]
[グレ]
|
|
|
|
|
Copyright (C) 2000 釣り大好き!みんながドットこむ!!