ご予約・お問合せ お電話:090-3057-7959    出船予定:未定
トピックス   

 
 
 
 
 
 
 
 
 
 

データ日付 2017年 03月 29日  PM 01:00  種別:釣船
状態
天候:
晴れ
風向:
北西
潮:
下り潮
水温:
17.3度
波高:

コメント
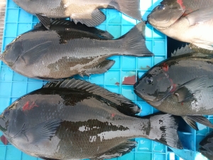
 午前便の釣果です。朝一投目から家原様37cmをヒット。
その後も順調に39cm頭に15枚と2人で合計29枚釣ってくれました。
水温も17.3度と調子良かったです。…
続きを読む

釣り場 釣り人 魚種 大きさ 匹数 仕掛け エサ
白浜沖シャクシ 堺市 
家原様ら2名
グレ 33〜39cm 29匹 磯釣りスタイルのフカセ釣り 竿5.3m ハリス2号 針6号 ウキ0.0-3B スルスル仕掛け 沖アミ
 




過去の魚種別釣果 グレ] [釣り大好きツイッターファネット マダイダービー







最新釣果情報一覧へ戻る


Copyright (C) 2000  釣り大好き!みんながドットこむ!!