ご予約・お問合せ お電話:0738-64-2390    出船予定:未定
トピックス   

磯 ふかせ釣りでグレ爆釣! 
西川様親子
グレ45cmまで30匹以上の釣果でした! 
西川様親子の釣果!
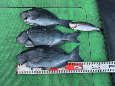
磯 ふかせ釣りでグレ45cm! 
松田様の釣果!
沖一文字 カゴ釣りで良型グレ! 
浦野様
 
浦野様の釣果!

データ日付 2025年 12月 06日  PM 06:00  種別:渡船
状態
天候:
晴れ
風向:
特定出来ず
潮:
特定できず
水温:
19.3度
波高:

コメント
沖一文字カゴ釣りでグレ、ヤイトガツオ、イサギ、くわせのませでメジロ釣れていました!
磯ふかせ釣りで良型グレ釣れていました!
2人で30匹以上の釣果をあげたお客様もいました!
続きを読む

釣り場 釣り人 魚種 大きさ 匹数 仕掛け エサ
  
西川様親子
グレ 45cmまで30匹位 ふかせ釣り
  
ヤイトガツオ 1匹
  
松田様
グレ 45cmまで5匹 ふかせ釣り
沖一文字   
浦野様
グレ 41cmまで3匹 カゴ釣り オキアミ
沖一文字   
他お客様
グレ カゴ釣り
  
イサギ
  
ヤイトガツオ
  
メジロ くわせのませ 生けアジ




過去の魚種別釣果 グレ] [イサギ] [ヤイトガツオ] [メジロ釣り大好きツイッターファネット マダイダービー







最新釣果情報一覧へ戻る


Copyright (C) 2000  釣り大好き!みんながドットこむ!!