ご予約・お問合せ お電話:0738-64-2390    出船予定:未定
トピックス   

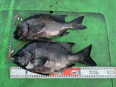
沖一文字 落とし込みでイシダイ45cm&47cm! 
吉冨様
 
吉冨様の釣果!
沖一文字 ルアーでシオ&ヤイトガツオ! 
近藤様の釣果!

データ日付 2025年 09月 29日  PM 04:00  種別:渡船
状態
天候:
雨のち晴れ
風向:
北西
潮:
特定できず
水温:
26.0度
波高:
多少あり

コメント
※10月14日から沖一文字はイセエビの網入る為しばらくの間行けなくなります。磯、柏一文字、神谷一文字は通常通りの営業です。

沖一文字落としこみでイシダイ釣れていました!…
続きを読む

釣り場 釣り人 魚種 大きさ 匹数 仕掛け エサ
沖一文字   
吉冨様
イシダイ 45〜47cm 2匹 落とし込み
  
シイラ 1匹 ルアー
沖一文字   
近藤様
シオ 43cm 1匹 ルアー
  
ヤイトガツオ 1匹




過去の魚種別釣果 イシダイ] [シイラ] [シオ] [ヤイトガツオ釣り大好きツイッターファネット マダイダービー







最新釣果情報一覧へ戻る


Copyright (C) 2000  釣り大好き!みんながドットこむ!!