ご予約・お問合せ お電話:0738-64-2390    出船予定:未定
トピックス   

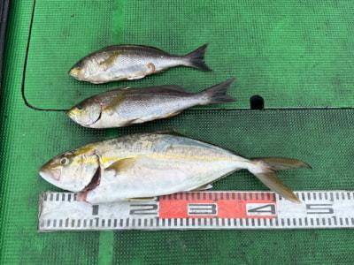
沖一文字 カゴ釣りでシオ、イサギ! 
森島様
 
森嶋様の釣果!

データ日付 2025年 09月 27日  PM 04:00  種別:渡船
状態
天候:
晴れ
風向:
潮:
特定できず
水温:
27.0度
波高:
多少あり

コメント
10月14日から沖一文字はイセエビの網入る為しばらくの間行けなくなります。
磯、柏一文字、神谷一文字は通常通りの営業です!
続きを読む

釣り場 釣り人 魚種 大きさ 匹数 仕掛け エサ
沖一文字   
森島様
シオ 46cm 1匹 カゴ釣り オキアミ
  
イサギ 2匹
沖一文字   
お客様ら
アオリイカ
  
ツバス
  
イサギ




過去の魚種別釣果 シオ] [アオリイカ] [ツバス] [イサギ釣り大好きツイッターファネット マダイダービー







最新釣果情報一覧へ戻る


Copyright (C) 2000  釣り大好き!みんながドットこむ!!