ご予約・お問合せ お電話:0738-64-2390    出船予定:未定
トピックス   

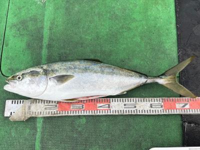
沖一文字 のませ釣りでメジロ! 
山内様
 
山内様の釣果!

データ日付 2026年 04月 14日  PM 04:00  種別:渡船
状態
天候:
晴れのち曇り
風向:
南東
潮:
特定できず
水温:
18.6度
波高:

コメント
沖一文字のませ釣りでメジロ釣れていました!
小アジ少し釣れたようです。

続きを読む

釣り場 釣り人 魚種 大きさ 匹数 仕掛け エサ
沖一文字   
山内様
メジロ 72cm 1匹 のませ釣り 沖一のアジ




過去の魚種別釣果 メジロ釣り大好きツイッターファネット マダイダービー







最新釣果情報一覧へ戻る


Copyright (C) 2000  釣り大好き!みんながドットこむ!!