和歌山由良 上野渡船 上野渡船 最新釣果 上野渡船 ご案内 磯案内 上野渡船 地図と料金



ご予約・お問合せ お電話:0738-65-1222    出船予定:出船
トピックス   

尾長グレ38cm 
酒井氏
酒井氏の釣果 
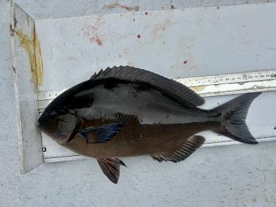
イシガキ42cm 
菊野氏
菊野氏の釣果 

データ日付 2025年 10月 26日  PM 01:00  種別:渡船
状態
天候:
くもり
風向:
潮:
中潮
水温:
26.5度
波高:
1.0

コメント
*フカセ釣りで「尾長グレ」、底物で「イシガキダイ」釣れた!
*明日10/27(月)は北西強風予報の為、休船させていただきます。
*明後日10/28(火)は出船未定です。お問い合わせ下さい!

釣り場 釣り人 魚種 大きさ 匹数 仕掛け エサ
ヒジキ 岸和田市  
酒井氏
グレ 38cm 1匹 フカセ釣り オキアミ
ヒラバエ 大阪市  
菊野氏
イシガキダイ 42cm 1匹 底物仕掛け ウニ




過去の魚種別釣果 グレ] [イシガキダイ釣り大好きツイッターファネット マダイダービー



ご予約・お問合せ
0738-65-1222






最新釣果情報一覧へ戻る


Copyright (C) 2000  釣り大好き!みんながドットこむ!!