和歌山由良 上野渡船 上野渡船 最新釣果 上野渡船 ご案内 磯案内 上野渡船 地図と料金



ご予約・お問合せ お電話:0738-65-1222    出船予定:出船
トピックス   

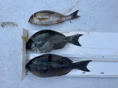
グレ30,35cm 
吉野氏の釣果(フカセ釣り)
イシガキ25〜32cm 
谷川氏の釣果
ヤイトガツオ28〜30cm 
田原氏の釣果(ジグ40g)

データ日付 2025年 10月 18日  PM 04:00  種別:渡船
状態
天候:
雨のち晴れ
風向:
潮:
中潮
水温:
26.5度
波高:

コメント
⚠️フカセ釣りで「グレ」「イサギ」など!
*明日10/19(日)も出船予定です!(受付4:30〜1番船5:30〜最終16:00)
続きを読む

釣り場 釣り人 魚種 大きさ 匹数 仕掛け エサ
アシカ子 海南市  
吉野氏
グレ 30〜35cm 2匹 フカセ釣り オキアミ
〃  
イサギ 28cm 1匹
オオハエ 堺市  
谷川氏
イシガキダイ 25〜32cm 8匹 底物仕掛け ウニ
ヒラバエ 貝塚市  
田原氏
ヤイトガツオ 28〜30cm 4匹 ルアー ジグ40g




過去の魚種別釣果 グレ] [イサギ] [イシガキダイ] [ヤイトガツオ釣り大好きツイッターファネット マダイダービー



ご予約・お問合せ
0738-65-1222






最新釣果情報一覧へ戻る


Copyright (C) 2000  釣り大好き!みんながドットこむ!!