| ご予約・お問合せ | お電話:0738-65-1222 出船予定:休船 |
| トピックス |
|
|
|
|
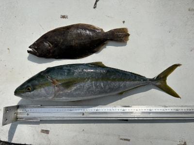
メジロ64cm,ヒラメ40cm 石井氏の釣果(ジグ60g) |
イサギ28〜37cm 17匹,グレ36cm 1匹 上野山氏の釣果(カゴ釣り) |
|
|
|
グレ31〜37cm 13匹 津野氏の釣果(フカセ釣り) |
グレ30〜37cm 6匹 気前氏の釣果(フカセ釣り) |
|
|
|
グレ30〜35cm 14匹 杖村氏の釣果(フカセ釣り) |
|
| データ日付 | 2023年 11月 23日 PM 05:00 種別:渡船 | |||||
| 状態 |
|
| コメント |
| *磯釣り釣果No.2*ルアーで「メジロ」「ヒラメ」ヒット!カゴ釣りで「イサギ」、フカセ釣りで「グレ」よく釣れた!! *明日11/24は荒天予報の為休船させて頂きます! |
| 釣り場 | 釣り人 | 魚種 | 大きさ | 匹数 | 仕掛け | エサ |
| ヒジキ | 堺市 石井氏 |
メジロ | 64cm | 1匹 | ルアー | ジグ60g |
| 〃 | 〃 〃 |
ヒラメ | 40cm | 1匹 | 〃 | 〃 |
| ヒジキ | 有田市 上野山氏 |
イサギ | 28〜37cm | 18匹 | カゴ釣り、他グレ36cm 1匹 | 沖アミ |
| オオクラ | 泉南市 津野氏 |
グレ | 31〜37cm | 13匹 | フカセ釣り | 沖アミ |
| ビシャゴ | 加古川市 気前氏 |
グレ | 30〜37cm | 6匹 | フカセ釣り | 沖アミ |
| ヒジキ | 海南市 杖村氏 |
グレ | 30〜35cm | 14匹 | フカセ釣り | 沖アミ |
| 過去の魚種別釣果 |
[メジロ]
[ヒラメ]
[イサギ]
[グレ]
|
| ご予約・お問合せ |
| 0738-65-1222 |
|
|
|
|
Copyright (C) 2000 釣り大好き!みんながドットこむ!!