| ご予約・お問合せ | お電話:090-9619-2883 出船予定:出船 |
| トピックス |
|
|
|
|
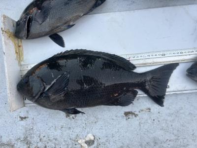
グレ45cm 二宮氏の釣果 |
グレ30〜45cm 二宮氏の釣果 |
|
|
|
グレ30〜45cm 橋本氏の釣果 |
グレ30〜39cm 吉住氏の釣果 |
|
|
|
グレ31〜38cm 杖村氏の釣果 |
グレ30〜35cm 古谷氏の釣果 |
|
|
|
グレ31〜38cm,チヌ40cm 東氏の釣果 |
|
| データ日付 | 2026年 01月 07日 PM 05:00 種別:渡船 | |||||
| 状態 |
|
| コメント |
| *釣果No.1・・フカセ釣り「グレ」良型混じりでよく釣れた! *明日1/8(木)は北西強風予報の為、休船させていただきます。 |
| 釣り場 | 釣り人 | 魚種 | 大きさ | 匹数 | 仕掛け | エサ |
| オオクラ | 大阪市 二宮氏 |
グレ | 30〜45cm | 12匹 | フカセ釣り | オキアミ |
| 〃 | 芦屋市 橋本氏 |
グレ | 30〜45cm | 20匹 | 〃 | 〃 |
| アシカ親 | 加古川市 吉住氏 |
グレ | 30〜39cm | 9匹 | 〃 | 〃 |
| ビシャゴ | 和歌山市 杖村氏 |
グレ | 31〜38cm | 8匹 | 〃 | 〃 |
| 〃 | 和歌山市 古谷氏 |
グレ | 30〜35cm | 7匹 | 〃 | 〃 |
| 〃 | 和歌山市 東氏 |
グレ | 31〜38cm | 3匹 | 〃 | 〃 |
| 〃 | 〃 〃 |
チヌ | 40cm | 1匹 | 〃 | 〃 |
| 過去の魚種別釣果 |
[グレ]
[チヌ]
|
| ご予約・お問合せ |
| 090-9619-2883 |
|
|
|
|
Copyright (C) 2000 釣り大好き!みんながドットこむ!!