| ご予約・お問合せ | お電話:090-9619-2883 出船予定:休船 |
| トピックス |
|
|
|
|
グレ30〜44cm,イサギ26〜38cm 八田氏の釣果 |
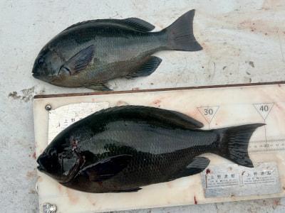
グレ32,40cm 岩崎氏の釣果 |
|
|
|
グレ25〜35cm,イサギ26〜31cm 初井氏の釣果 |
|
| データ日付 | 2025年 12月 11日 PM 04:00 種別:渡船 | |||||
| 状態 |
|
| コメント |
| *釣果No.2・・フカセ釣りで「グレ」「イサギ」よく釣れた! *明日12/12(金)は強風予報の為、休船させていただきます。 |
| 釣り場 | 釣り人 | 魚種 | 大きさ | 匹数 | 仕掛け | エサ |
| ヒジキ | 日高川町 八田氏 |
グレ | 30〜44cm | 5匹 | フカセ釣り | オキアミ |
| 〃 | 〃 〃 |
イサギ | 26〜38cm | 8匹 | 〃 | 〃 |
| アシカ子 | 大引 岩崎氏 |
グレ | 32〜40cm | 2匹 | 〃 | 〃 |
| ケムリ | 日高町 初井氏 |
グレ | 25〜35cm | 8匹 | 〃 | 〃 |
| 〃 | 〃 〃 |
イサギ | 26〜31cm | 4匹 | 〃 | 〃 |
| 過去の魚種別釣果 |
[グレ]
[イサギ]
|
| ご予約・お問合せ |
| 090-9619-2883 |
|
|
|
|
Copyright (C) 2000 釣り大好き!みんながドットこむ!!