| ご予約・お問合せ | お電話:090-9619-2883 出船予定:未定 |
| トピックス |
|
|
|
|
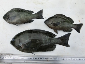
竹内氏 |
竹内氏の釣果。 |
|
|
|
「ヒラスズキ」 64cm。フカセ釣りでヒット!! 堀川氏 |
|
| データ日付 | 2015年 05月 09日 PM 06:00 種別:渡船 | |||||
| 状態 |
|
| コメント |
| 磯釣りの釣果。 |
| 釣り場 | 釣り人 | 魚種 | 大きさ | 匹数 | 仕掛け | エサ |
| ビシャゴ | 門真市 竹内氏 |
グレ | 27〜36cm | 3匹 | フカセ釣り | オキアミボイル |
| ヒジキ | 和泉市 堀川氏 |
ヒラスズキ | 64cm | 1匹 | 〃 | 〃 |
| |
||||||
| アシカの親 | 豊中市 山本氏 |
グレ | 30〜36cm | 2匹 | 〃 | 〃 |
| 過去の魚種別釣果 |
[グレ]
[ヒラスズキ]
[]
|
| ご予約・お問合せ |
| 090-9619-2883 |
|
|
|
|
Copyright (C) 2000 釣り大好き!みんながドットこむ!!