ご予約・お問合せ お電話:    出船予定:未定
トピックス   

【磯釣り】アオリイカ・1.5〜1.81kg 3バイ 
前田様 小西様
 
前田様 小西様
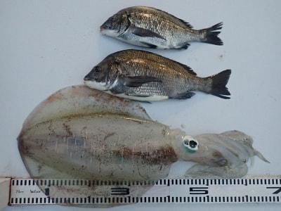
アオリイカ・41cm(2.71kg) 1パイ チヌ・34〜40.5cm 2枚 
森田様
 
森田様

データ日付 2026年 04月 12日  PM 08:00  種別:渡船
状態
天候:
風向:
特定出来ず
潮:
特定できず
水温:
波高:
特定出来ず

コメント
【磯釣り】グレ、アオリイカ釣れました!

釣り場 釣り人 魚種 大きさ 匹数 仕掛け エサ
  
前田様 小西様
アオリイカ 1.5〜1.81Kg 3ハイ エギング エギ3号オレンジ PE0.6号 リーダー2.5号




過去の魚種別釣果 アオリイカ釣り大好きツイッターファネット マダイダービー







最新釣果情報一覧へ戻る


Copyright (C) 2000  釣り大好き!みんながドットこむ!!