和歌山印南 釣船 木下丸 ご予約・お問合せ 090-6988-1313
001 002 乗合・仕立て 伝馬船・船外機の紹介 地図料金



ご予約・お問合せ お電話:0738-42-0313    出船予定:未定
トピックス   

 
 
 
 

データ日付 2025年 11月 08日  AM 11:00  種別:釣船
状態
天候:
風向:
特定出来ず
潮:
特定できず
水温:
波高:
特定出来ず

コメント
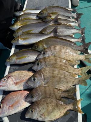
オキアミ五目釣り出船しました、餌取り多かったですがポイント移動しながらメイチダイ、イサギ、グレ、たくさん釣れました、明日も昼まで天気持ちそうなんでオキアミ五目釣り出船します、よろしくお願いします、お疲れ様でした!

釣り場 釣り人 魚種 大きさ 匹数 仕掛け エサ
  
五目




過去の魚種別釣果 五目釣り大好きツイッターファネット マダイダービー







最新釣果情報一覧へ戻る


Copyright (C) 2000  釣り大好き!みんながドットこむ!!