| ご予約・お問合せ | お電話:0772-83-1212 出船予定:未定 |
| トピックス |
|
|
|
|
佐藤氏 釣果 |
住垣氏 釣果 |
|
|
|
西川氏 釣果 |
|
| データ日付 | 2025年 10月 19日 PM 04:00 種別:渡船 | |||||
| 状態 |
|
| コメント |
| 今日も午前中は北東の風が強かったです、午後からは弱くなり釣りやすくなったのですが、3時ごろから少し時合いがありました。 |
| 釣り場 | 釣り人 | 魚種 | 大きさ | 匹数 | 仕掛け | エサ |
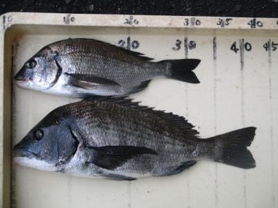
| 宮崎沖カセ | 大阪市 佐藤様 |
チヌ | 38〜40cm | 2匹 | 短竿 | アケミ丸貝 サナギ |
| |
チヌ | 30〜35cm | 3匹 | 〃 | 〃 | |
| |
チヌ | 22〜25cm | 8匹 | 〃 | 〃 | |
| 宮崎沖カセ | 福知山市 住垣様 |
チヌ | 35〜40cm | 2匹 | 短竿 | アケミ丸貝 |
| |
チヌ | 22〜26cm | 4匹 | 〃 | 〃 | |
| 宮崎沖カセ | 福知山市 西川様 |
チヌ | 33〜43cm | 2匹 | アケミ丸貝 オキアミ |
| 過去の魚種別釣果 |
[チヌ]
|
|
|
|
|
Copyright (C) 2000 釣り大好き!みんながドットこむ!!