ご予約・お問合せ | お電話:0772-83-1212 出船予定:未定 |
トピックス |
|
![]() |
![]() |
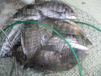
福田氏 釣果 |
小賀氏 釣果 |
![]() |
![]() |
福島氏 釣果 |
岡田氏 釣果 |
データ日付 | 2025年 09月 27日 PM 04:00 種別:渡船 | |||||
状態 |
|
コメント |
昼前後北東の風がやや強く吹き釣りづらかったです、今日もエサ取りが多くチヌの活性は低かったです。 |
釣り場 | 釣り人 | 魚種 | 大きさ | 匹数 | 仕掛け | エサ |
宮崎沖カセ | 鳥取県 福田様 |
チヌ | 20〜32cm | 18匹 | 短竿 | アケミ貝 コーン サナギ |
宮崎沖カセ | 神戸市 福島様 |
チヌ | 20〜30cm | 18匹 | アケミ貝 | |
宮崎沖カセ | 尼崎市 岡田様 |
チヌ | 21〜26cm | 17匹 | アケミ貝 | |
宮崎沖カセ | 福崎町 小賀様 |
チヌ | 40cm | 1匹 | アケミ貝 オキアミ | |
|
チヌ | 20〜25cm | 6匹 | 〃 |
過去の魚種別釣果 |
[チヌ]
![]() ![]() |
![]() |
|
Copyright (C) 2000 釣り大好き!みんながドットこむ!!