江戸っ子丸

2026年 03月 06日
AM 11:00
種別:釣船
天候:晴れ
風向:北東
潮:特定できず
水温:度
波高:凪
コメント:悪天候で3日間休みの今日は(船頭の都合で湾内のヒラメ、トツカアジのみの釣り出船am1:00〜am6:00頃までの釣行でした)

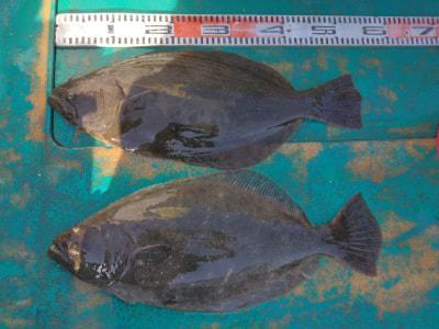
肉厚ヒラメ2枚GET!
谷口さん

谷口様の肉厚ヒラメ


谷口様のトツカアジ、マルアジ


船頭も参戦ヒラメ2枚




湾内のみ
  
谷口さん
●ヒラメ、トツカアジ、マルアジ

和歌山県日高郡美浜町和田1726-1
江戸っ子丸
TEL:0738220975



トップページへ