荒神丸(マダイ釣り)

2026年 01月 07日
PM 00:00
種別:釣船
天候:
風向:特定出来ず
潮:特定できず
水温:度
波高:特定出来ず
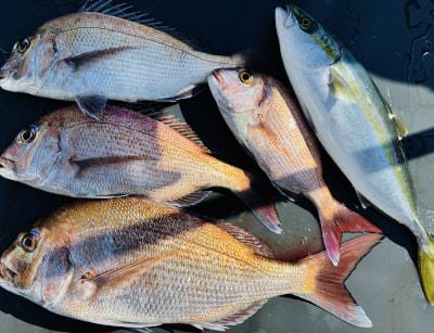
コメント:マダイ ハマチ セイゴ

マダイ 51cm
ワダさん

マダイ 6匹 ハマチ 1匹 セイゴ 1匹
ワダさん

マダイ 56cm
シライシさん

マダイ 4匹 ハマチ 1匹
シライシさん




  
ワダさん
●マダイ
30〜51cm
6匹


  
シライシさん
●マダイ
35〜56cm
4匹
和歌山県和歌山市加太597-1
荒神丸(マダイ釣り)
TEL:0734592533



トップページへ