| @ |
|
|
|
ƒCƒTƒM‚Q‚V〜‚R‚Scm@ ŽRÛŽ‚Ì’Þ‰Ê(ƒJƒS’Þ‚è)@ |
ƒCƒTƒM‚Q‚V〜‚R‚Qcm,ƒOƒŒ‚R‚Scm@ ‘’JŽ‚Ì’Þ‰Ê(ƒJƒS’Þ‚è) |
|
|
|
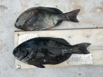
ƒCƒTƒM‚Q‚U〜‚R‚Scm,ƒOƒŒ‚R‚S,‚R‚Tcm@ ì‘ºŽ‚Ì’Þ‰Ê(ƒJƒS’Þ‚è)@ |
ƒOƒŒ‚R‚X,‚S‚Qcm@ –؎‚Ì’Þ‰Ê(ƒtƒJƒZ’Þ‚è) |
|
|
|
ƒOƒŒ‚R‚Q〜‚R‚Scm,ƒCƒTƒM‚Q‚U〜‚R‚Scm@ ™÷–{Ž‚Ì’Þ‰Ê(ƒtƒJƒZ’Þ‚è)@ |
|
| ƒf[ƒ^“ú•t | 2025”N 12ŒŽ 01“ú@ PM 05:00@ Ží•ÊF“n‘D | ||
| ó‘Ô | “VŒóF°‚ê@ •—ŒüF–k@ ’ªF’†’ª@ …‰·F22.0“x@ ”g‚F“â | ||
| ƒRƒƒ“ƒg |
|
| ’Þ‚èê | ’Þ‚èl | ‹›Ží | ‘å‚«‚³ | •C” | ŽdŠ|‚¯ | ƒGƒT |
| ƒqƒWƒL | Œä–VŽs@@ ŽRÛŽ |
ƒCƒTƒM | 27`34cm | 21•C | ƒJƒS’Þ‚è | ƒIƒLƒAƒ~ |
| V | ‹I”ü–ì’¬@@ ‘’JŽ |
ƒCƒTƒM | 27`32cm | 10•C | V | V |
| ƒAƒVƒJe | “Þ—ÇŽs@@ ì‘ºŽ |
ƒCƒTƒM | 26`34cm | 6•C | V | V |
| ƒIƒIƒNƒ‰ | “cŽs@@ –؎ |
ƒOƒŒ | 39`42cm | 2•C | ƒtƒJƒZ’Þ‚è | ƒIƒLƒAƒ~ |
| ƒAƒVƒJŽq | äŽs@@ ™÷–{Ž |
ƒOƒŒ | 32`34cm | 3•C | V | V |
| V | V@@ V |
ƒCƒTƒM | 26`34cm | 12•C | V | V |
| ‚±‚ê‚܂ł̋›Ží•Ê’Þ‰Ê | mƒOƒŒn mƒCƒTƒMn |
|
|