|
|
|
ハマチ47,50cm 永岡氏の釣果(ジグ60g) |
ハマチ51cm 加藤氏の釣果(ジグ40g) |
|
|
|
グレ40cm,チヌ42cm フィリップ氏の釣果 |
グレ30〜40cm 明神氏の釣果 |
|
|
|
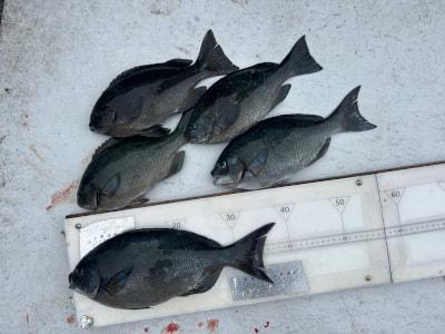
グレ30〜39cm 安岡氏の釣果 |
グレ25〜36cm 吉住氏の釣果 |
| データ日付 | 2026年 04月 20日 PM 04:00 種別:渡船 | ||
| 状態 | 天候:くもり、小雨 風向:南東 潮:中潮 水温:21.0度 波高:多少あり | ||
| コメント |
|
| 釣り場 | 釣り人 | 魚種 | 大きさ | 匹数 | 仕掛け | エサ |
| ヒラバエ | 海南市 永岡氏 |
ハマチ | 47〜50cm | 2匹 | ルアー | ジグ60g |
| 〃 | 東大阪市 加藤氏 |
ハマチ | 51cm | 1匹 | 〃 | ジグ40g |
| アシカ子 | 紀の川市 フィリップ氏 |
グレ | 40cm | 1匹 | フカセ釣り | オキアミ |
| 〃 | 伊丹市 明神氏 |
グレ | 30〜40cm | 8匹 | 〃 | 〃 |
| 〃 | 伊丹市 安岡氏 |
グレ | 30〜39cm | 5匹 | 〃 | 〃 |
| 〃 | 加古川市 吉住氏 |
グレ | 25〜36cm | 15匹 | 〃 | 〃 |
| これまでの魚種別釣果 | [ハマチ] [グレ] |
|
|